长沙城发商业管理有限公司 谷山商业广场招商公告
发布时间:2021-11-26 18:00 打印文件

        一、招商单位:长沙城发商业管理有限公司

        二、招商位置描述

        1、本项目位于长沙市岳麓区谷山村,地处岳华路与北津城路交汇处,住宅底商,周边楼盘林立,固定人口集中。项目于2013年开业并投入使用,以社区裙楼为主要产品形态,总建筑面积为16049.66㎡,周边覆盖18个公交车站,交通便利,四通八达,通过公共交通即可便利出行。

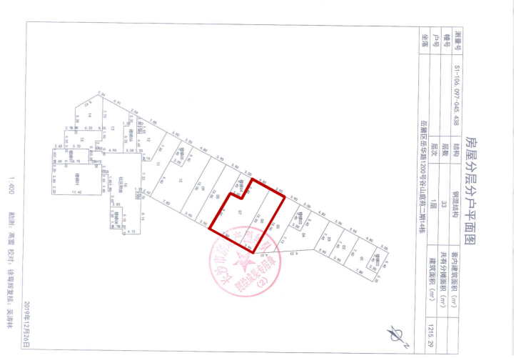
        2、招商铺位:G106-107,面积:117.18㎡。

        三、铺现状图及区位示意图:

image.png

image.png

image.png

        四、招商简章

        1、招商对象:有先进经营理念,良好经营实力和丰富经营经验的品牌经营者;

        2、招商业态:教育、培训、文体、娱乐、零售、儿童游乐、轻餐饮等;

        3、交付方式:现状交付。

        五、招商联系方式

        1、联系人:杨先生 13517402676;

        2、联系地址:长沙市天心区贺龙体育场童心MALL商场T002号长沙城发商业管理有限公司招商营销部。

        六、招商公示期

        2021年11月26日至2021年12月2日

 

长沙城发商业管理有限公司

                              2021年11月26日